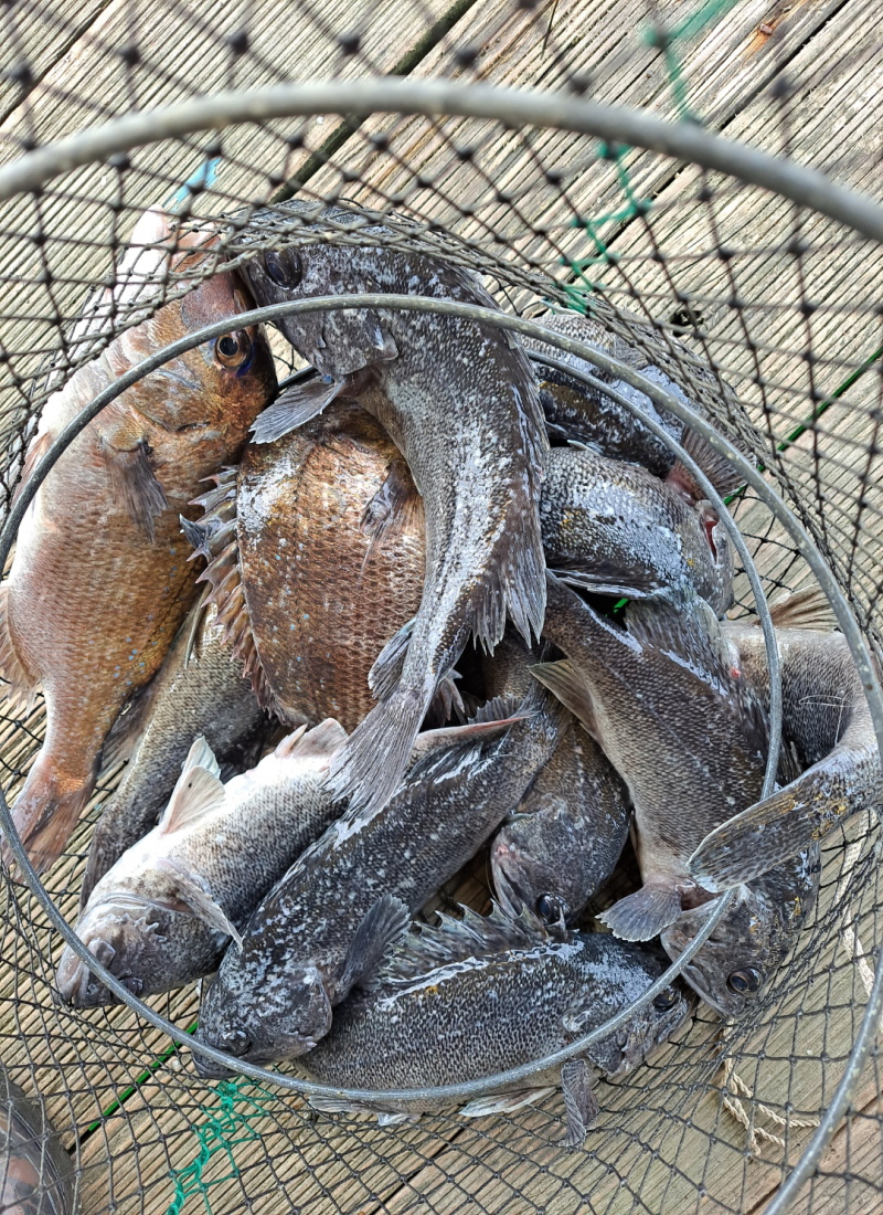
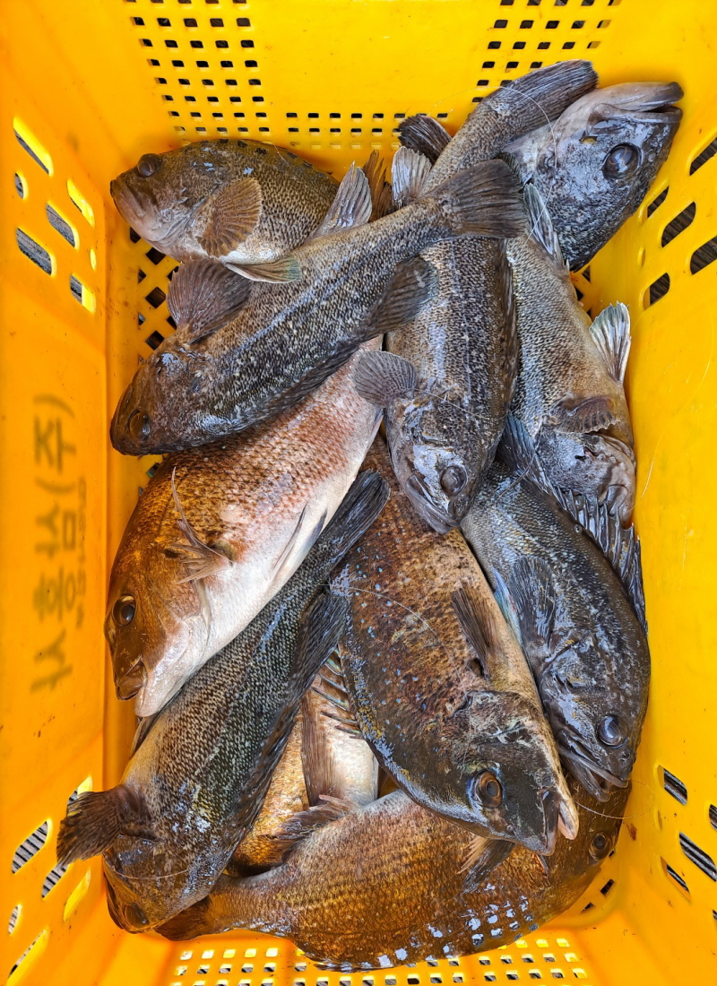
5월8일 좌대조황

조황포스팅 (관리자 : 티그리스)

5월8일 좌대조황

mangilho 댓글 0 조회 662 추천 0 비추천 0

5월8일 좌대조황

5월8일 좌대조황

5월8일 좌대조황

5월8일 좌대조황

 

 

안녕하세요 만길호입니다

 조황은 꾸준한 조과를 보이고 있습니다

 돌아가시는 길 안전운전 하시고 고생하셨습니다

 

 만길호 좌대는 편의시설을 구비하고 있습니다.

 좌대내 화장실,취사도구,정수기. 쉬실수있는 방은 물론 뜰채,살림망,낚시대등을 무상으로 대여해 드립니다.

 잡으신 고기는 하루 1회에 한해서 무상으로 회를 떠 드리고 있습니다.

 또한 나무젓가락,종이컵,초장,커피등이 있습니다.

 고기를 구워 드실분들은 철망,번개탄만 사오시면 바다 위에서 숯불구이를 해서 드실수 있습니다.

 기타 사항은 언제든 문의주시면 됩니다.

 연락처: 010- 5406- 8020

 홈페이지:http://www.mangilho.com


이 게시글에 달린 댓글 총 0

BOAT 영상